新築一戸建て 岸和田市八幡町1号棟
所在地
岸和田市八幡町1号棟
3,280万円
31.31坪
4LDK
2026年8月築の築浅物件です!
使い勝手の良い4LDK♪
お車2台駐車可(車種による)
月々の
支払例
支払例
万円
年
%
円
※紀陽銀行/借入金3,280万円、返済期間35年、金利0.395%(変動)の場合
※審査により金利は変わる可能性があります。
物件概要
- 交通
-
南海本線 春木駅 まで 徒歩15分
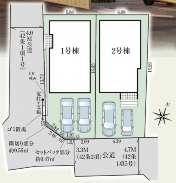
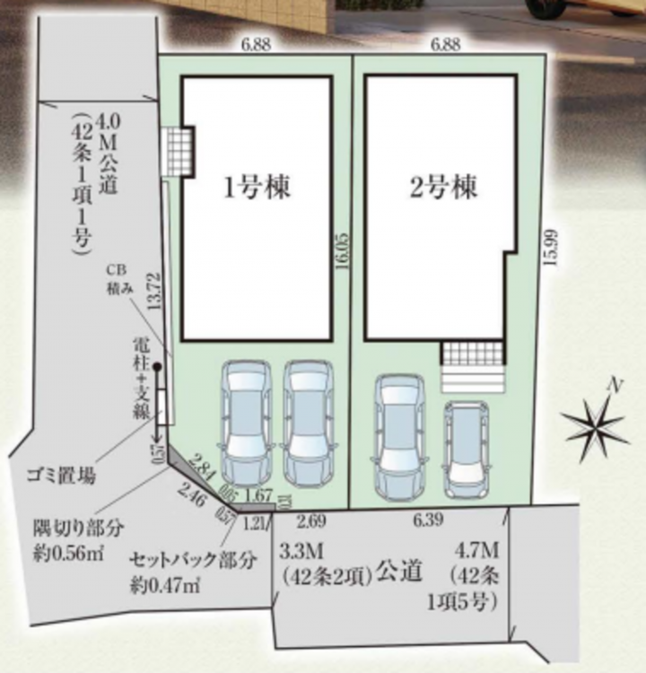
- 土地面積
- 104.57㎡ (31.63坪)
- 建物面積
- 103.53㎡ (31.31坪)
- 築年数
- 2026年 (令和8) 8月
- 建ぺい率
- 60%
- 容積率
- 200%
- 土地権利
- 所有権
- 構造および階数
- 木造 地上2階建
- 小学校区
- 大宮 (320m)
- 中学校区
- 春木 (560m)
- 私道負担
- 地目
- 宅地
- 現況
- 未完成
- 引渡時期
- 相談
- 駐車場
- 有 2台
- 上水道
- 公共
- 下水道
- 公共下水
- ガス
- 都市ガス
- 都市計画
- 市街化区域
- 用途地域
- 1種住居
- 設備・条件
- システムキッチン、食器洗浄乾燥機、シャンプードレッサー、洗浄便座、浴室乾燥機、複層ガラス、駐車場2台分
- 備考
- 取引態様
- 仲介



