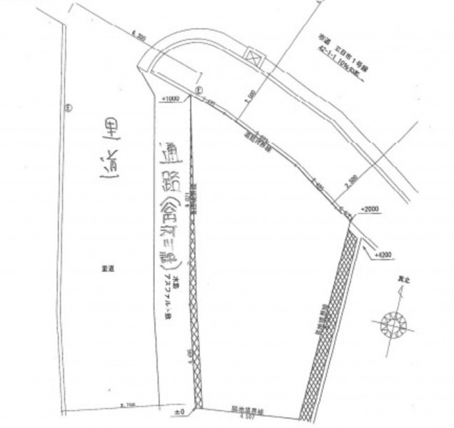
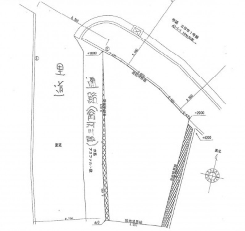
土地 河内長野市三日市町
所在地
河内長野市三日市町
480万円
20.88坪
・南海高野線『三日市町』駅まで徒歩3分♪
・建築条件ございません♪
・コンビニ、スーパー近くに生活に便利な立地です♪
月々の
支払例
支払例
万円
年
%
円
※紀陽銀行/借入金480万円、返済期間35年、金利0.395%(変動)の場合
※審査により金利は変わる可能性があります。
物件概要
- 交通
-
南海高野線 三日市町駅 まで 徒歩3分
- 土地面積
- 69.04㎡ (20.88坪)
- 建ぺい率
- 60%
- 容積率
- 200%
- 土地権利
- セットバック
- 無し
- 小学校区
- 中学校区
- 私道負担
- 建築条件
- なし
- 地目
- 宅地
- 現況
- 更地
- 引渡時期
- 即時
- 上水道
- 公共
- 下水道
- 公共下水
- ガス
- 都市ガス
- 都市計画
- 市街化区域
- 用途地域
- 2種住居
- 設備・条件
- 備考
- 高度(3種)・法22
- 取引態様
- 仲介



